Marés solares podem explicar ventos super-rápidos de Vênus, mostra estudo
Na Terra, ventos equivalentes aos de um furacão de categoria 5 já são devastadores. Em Vênus, porém, velocidades ainda maiores […]
Auto Added by WPeMatico
Na Terra, ventos equivalentes aos de um furacão de categoria 5 já são devastadores. Em Vênus, porém, velocidades ainda maiores […]
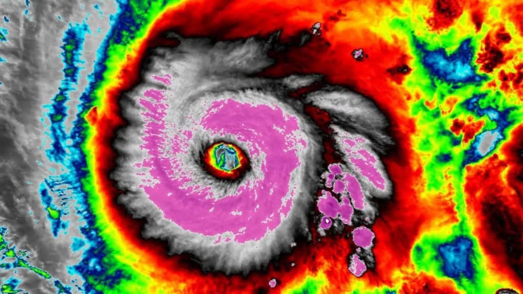
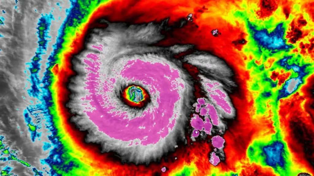
O Melissa entrou para a história ao atingir a costa oeste da Jamaica como um furacão de categoria 5. Com ventos
Após atingir a costa oeste da Jamaica como um furação de categoria 5 e deixar um rastro de destruição, o
As notícias sobre o furacão Melissa, que chegou à categoria 5 e atingiu a Jamaica nesta terça-feira (28), com ventos
Na última segunda-feira (27) uma aeronave do 53º Esquadrão de Reconhecimento Meteorológico da Força Aérea dos EUA realizou uma missão
Nesta terça-feira (28), o furacão Melissa atingiu a Jamaica. Na categoria 5, a tempestade já é considerada uma das “mais